Bought with Shuxian Peng
$428,000
$475,000
9.9%For more information regarding the value of a property, please contact us for a free consultation.
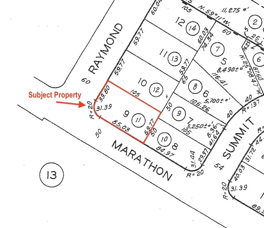
3234 Raymond AVE Altadena, CA 91001
6,300 Sqft Lot
Key Details
Sold Price $428,000
Property Type Vacant Land
Sub Type Other Residential Land
Listing Status Sold
Purchase Type For Sale
MLS Listing ID CRPF25204461
Lot Size 6,300 Sqft
Property Sub-Type Other Residential Land
Property Description
Located east of Fair Oaks Ave, west of Marengo Ave, and north of Altadena Drive this desirable parcel offers approximately 6,300 SF of land per the LA County Assessor. The property has undergone Phase 2 debris removal performed by the Army Corps of Engineers. This flat lot is situated on the northeast corner Raymond Ave and Marathon Road. Nearby infrastructure includes county paved road, curbs, electrical poles, water, and county sewer. Although not a cul-de-sac, this portion of Raymond Ave ends at the south where it intersects with Marathon Road and at the north where it intersects with Wapello Street, providing less traffic compared to through streets nearby. The lot shape is rectangular with a slight curve at the SW corner of the parcel. Per the LA County Assessor the lot's dimensions are approximately 60 feet wide by 105 feet deep - buyer to independently verify. The lot is zoned LCR 175 - low density residential. The prior home was destroyed by the Eaton Fire, it was a 2 bedroom-1 bathroom 1948 Traditional-style SFR with 905 SF of living space. Prior to the fire the home had a sewer, water, electric, and gas stubbed to the site. Interested buyers are advised to independently investigate potential future uses and parcel remediation processes with the County of Los Angeles and
Location
State CA
County Los Angeles
Area 604 - Altadena
Zoning D0,BY,PRKG,FY,GSL,LSR,UPS,UO,LV
Exterior
Utilities Available Electricity - On Site, Telephone - Not On Site
View Hills
Building
Lot Description Grade - Sloped Up , Grade - Gently Sloped
Water Private
Others
Special Listing Condition Not Applicable
Read Less
Want to know what your home might be worth? Contact us for a FREE valuation!

Our team is ready to help you sell your home for the highest possible price ASAP

© 2025 MLSListings Inc. All rights reserved.






